
ORDENANZA Nº 1.396
EL HONORABLE CONCEJO DELIBERANTE DE CURUZU CUATIA
SANCIONA CON FUERZA DE
ORDENANZA
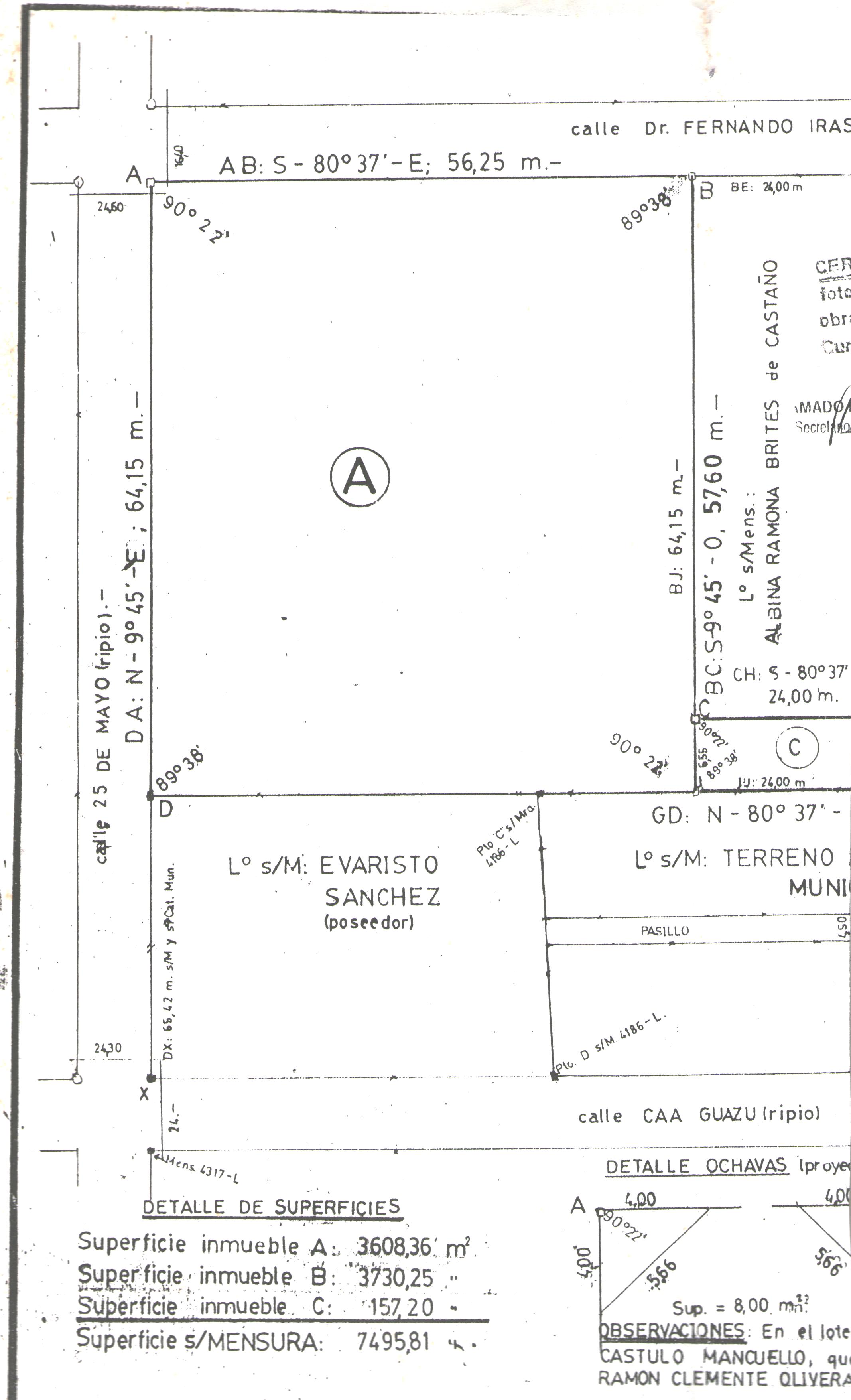
Art. 1º.- DONASE al Instituto de Vivienda de Corrientes (IN.VI.CO) un terreno de propiedad de esta municipalidad que a continuación se describe: Manzana N°234, intersección de las calles 25 de Mayo y Fdo. Irastorza, que mide 56,25 mts. De frente al norte sobre calle Irastorza e igual contra frente al sur, por 64,15 mts. Al oeste sobre calle 25 de mayo e igual contra fondo al este dentro de los siguientes linderos: Norte: calle Irastorza, sur: Evaristo Sánchez (poseedor); terreno presuntamente Municipal; Este: Albina Ramona Brites de castaño y fracción “C” del plano de mensura 4771-L y al oeste: calle 25 de Mayo; Adrema E-IT343-I; superficie: 3.608, 36 m2. E inscripto en el protocolo municipal libro “Q”, folio 360 N° (esfuerzo propio y ayuda mutual).-
Art. 2º.- SI en el término de dos años no se diera iniciación a las obras, la donación quedara sin efecto y el dominio se revertirá nuevamente al patrimonio municipal.-
Art. 3º.- COMUNIQUESE al D. E., publíquese, regístrese y archívese.-
SALA DE SESIONES DEL HCD. Diciembre 12 de 1.996.-
CURUZU CUATIA CORRIENTES.-