
ORDENANZA N° 2138
EL HONORABLE CONCEJO DELIBERANTE
SANCIONA CON FUERZA DE ORDENANZA
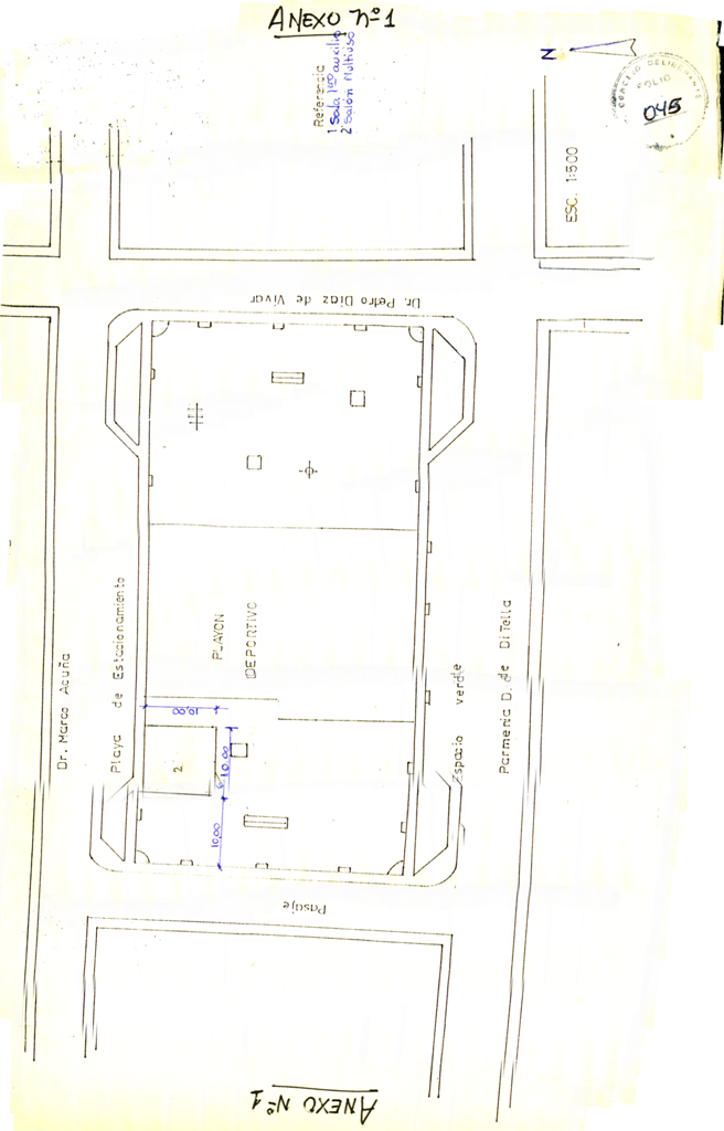
Art.1°.- AMPLIAR la desafectación dispuesta en el Art. 1o de la Ordenanza N° 2026, de acuerdo al Croquis que forma parte como Anexo I de la presente.
Art.20.- AUTORIZAR la ampliación del inmueble de acuerdo al Croquis que forma parte como Anexo 2o "SALA DE PRIMEROS AUXILIOS" de la presente.
Art.3°.- LA AMPLIACION autorizada estará subordinada al mismo uso que el Salón Principal y sujeto al reglamento para el dictado.
Art.4°.- LA VIOLACIÓN del Reglamento dará lugar a la revocación de la autorización de uso. Esta autorización podrá ser revocada sin causa.
Art.5°.- PROHIBASE toda otra desafectación del Uso Público Municipal de la Plaza "FILOMENO VELAZCO" del Barrio Hipólito Irigoyen.-
Art. 6°.-COMUNIQUESE al D.E., publíquese, regístrese y archívese.-
SALA DE SESIONES DEL H. C. D., 1o de julio de 2004.-
CURUZU CUATIA, CORRIENTES.-