
ORDENANZA Nº 2705
EL HONORABLE CONCEJO DELIBERANTE
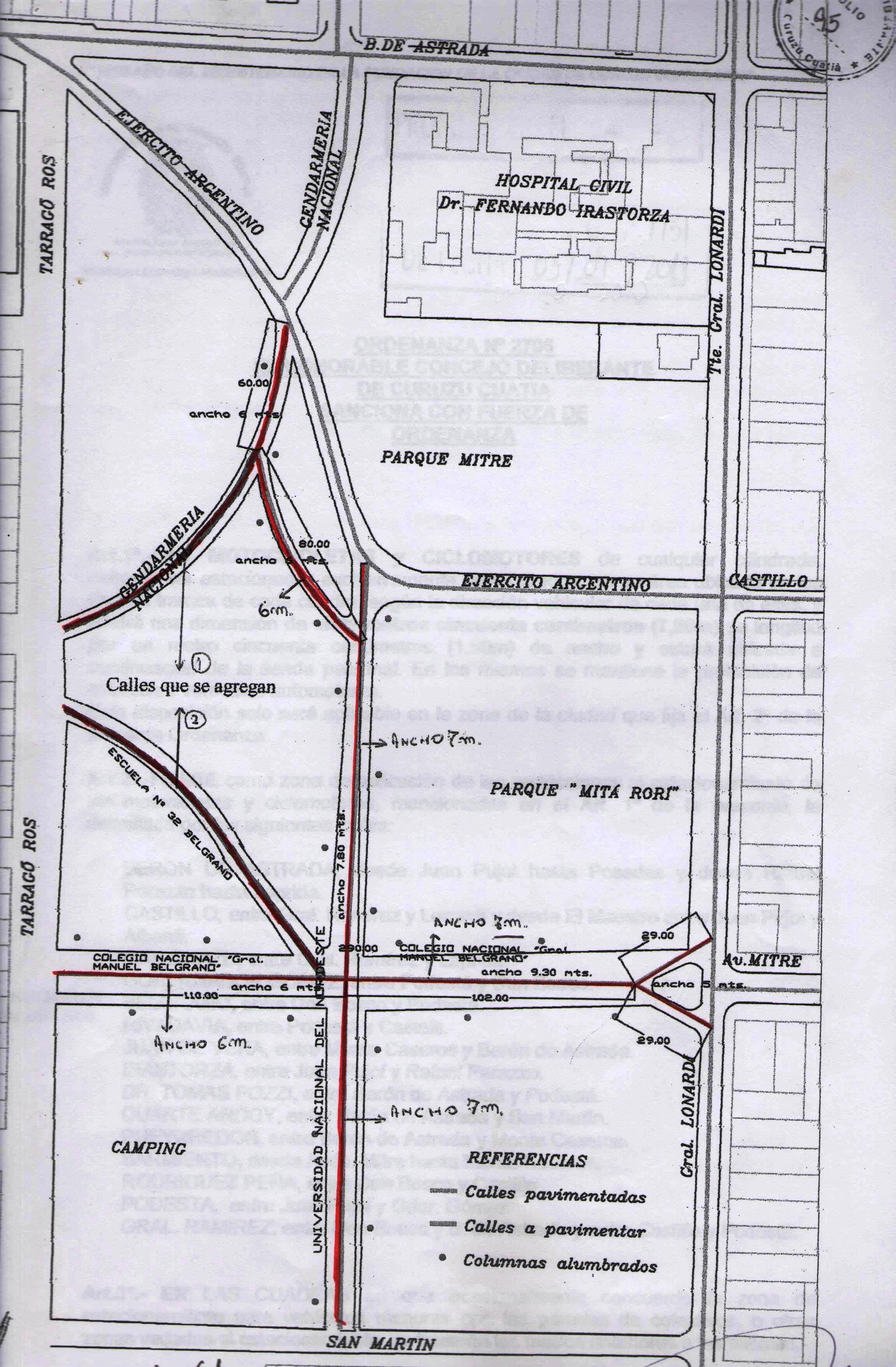
Art.1º.- APROBAR la pavimentación, "en concreto asfáltico", de las calles internas del Parque Mitre, conforme al croquis y características que se acompaña como anexo, a la presente.
Art.2º.- EL GASTO que demande la ejecución de la obra descripta en el Artículo 1º se imputará a la partida 2.3.2.3 -Ampliación y Mantenimiento Pavimento Urbano del presupuesto del DEM año 2010.
Art.3º.- COMUNIQUESE al D.E., publíquese, regístrese y archívese.-
SALA DE SESIONES DEL H.C.D., 23 de septiembre de 2010.-
CURUZU CUATIA, CORRIENTES.